中央氣象台:「樺加沙」頭腦不簡單四肢又發達 須提前防禦
內地中央氣象台繼續發布颱風黃色預警,今早啟動重大氣象災害颱風2級應急響應。
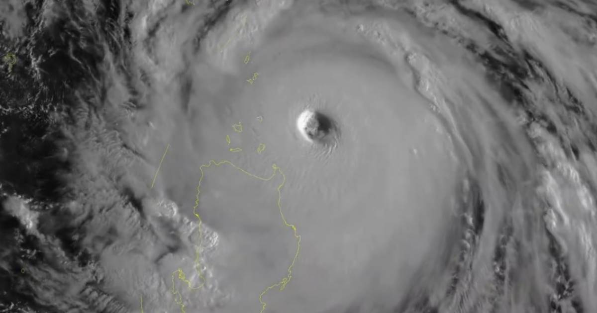
中央氣象台在微博表示,颱風「樺加沙」個頭大,7級風圈在340至480公里,7級風圈能達到400公里以上的颱風比較少見,而且強度強,屬今年以來西北太平洋最強颱風毋庸置疑,形容「樺加沙」為「頭腦不簡單,四肢又發達」的颱風須提前防禦,千萬不能掉以輕心。
中央氣象台指出,以往在菲律賓以東洋面生成的颱風,在向西北方向移動時,多少受到呂宋島的影響,強度有所削弱,而「樺加沙」將從巴士海峽穿過,核心大風區受到影響較小,將強勢侵入南海,「樺加沙」登陸強度至少為強颱風級,與上次2018年正面襲擊珠三角的「山竹」同級。
廣東珠江口到粵西一帶要打起精神
至於登陸地點,氣象台形容為「撲朔迷離」,由於西進颱風的路線和廣東海岸線夾角太小,導致細微的差別都有可能導致登陸地點不同,另外北方也有冷空氣南下,冷空氣抵達華南的早晚也會影響登陸地點和登陸時的強度。
氣象台強調「樺加沙」絕對不是個簡單角色,華南沿海尤其是廣東珠江口到粵西一帶要打起精神。




,泓滙財經資訊有限公司及財經智珠網有限公司提供。外滙及黃金報價由路透社提供。